The mild weather over winter was followed in the Languedoc by a slow start to summer heat. The resulting warm, humid weather brought disease as it did in many regions of France. Mildew, oidium and couloure are all vine diseases which occur regularly and 2016 was no different but with a bigger hit than usual.
Mildew (downy mildew)
Sadly, humid days in the mid 20s and cool nights are exactly the conditions favoured by downy mildew, and it prospered. The humidity in the soils created ever more favourable conditions for mildew. Downy mildew lives as spores in the soils and any rain splashes them onto the vines. Mildiou is not a fungus as commonly believed, it is a one celled spore which germinates in warm, humid conditions especially between 16 and 24 Centigrade – exactly the conditions we saw in April and May of this year.
Jeff Coutelou spent many nights out on his tractor spraying the vines to try to protect them. As an organic producer (and much more) he cannot (and does not want to) use manufactured, chemical sprays. Instead he used sprays based on rainwater with seaweed, nettles, horsetail and essential oils of sweet orange and rosemary. These are better absorbed by the vines in the cool of the night.
Mildew appears as small yellow / green spots on the upper surface of the leaf which gradually turn brown and spread to leave an unsightly vine. Underneath downy white /grey spots appear, the mildew is well established by this point. It affects the grape bunches and leaves them dried out and shrivelled.

Mildew on a Carignan bunch, organic spray residue on the leaves
By the time harvest arrives the bunches contain a mix of healthy and diseased grapes. Severe triage is required. Bunches such as the one in the photo above will be discarded immediately. Where there are health sections though the bunches will arrive at the triage table and be sorted rigorously. Jeff reckoned that in some vineyards, especially the white vines of Peilhan, losses were up to 60% from mildew. Seriously damaging.
Here is a clear demonstration of the advantage of hand harvest (vendange manuelle), machines would simply swallow the lot and in less thorough domaines or caves the bunches will all go into the wine.
Oidium (powdery mildew)

Oidium on buds and leaf
Oidium is a related problem to mildew but slightly different. It too thrives in warm days and cold nights (so springtime is its peak period) , it too loves humidity. So, spring 2016 was ideal though oidium was less rampant than mildew. Unlike mildew it is a fungal based spore.
Conventional treatments would be chemical and even organic producers will use sulphur, a naturally occurring element. Organic producers are limited to the amounts they can use as sulphur does damage the fauna of the soils. Jeff Coutelou uses less than a quarter of the permitted amounts because he sees it as a last resort. Instead he prefers treatments based on horsetail weed, nettles and other beneficial plants made into a tisane which can be sprayed. It may not be as all-destroying as synthetic chemicals but Jeff prefers the soils to be healthy in the long term by using these natural plant based treatments.
These photos show grape bunches hit by oidium in 2016, the powdery residue is clear though the bunches are less damaged than mildew affected ones. Nevertheless oidium is destructive and spoils wine so, again, careful work in the vineyard and cellar is needed to keep oidium out of the grape juice.
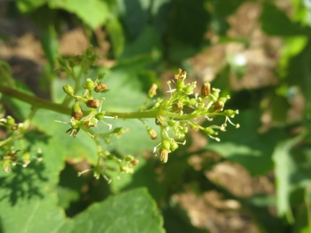
Coulure
Like most fruit plants vines grow flowers which then develop into the fruit. Vine flowers are very beautiful but also very delicate and don’t live long on the plants, a matter of a few days.
If heavy rain and wind hits the vines at this stage of their development then the flowers can be easily damaged or broken off the plant.
The result is that fruit cannot develop where there is no flower, coulure. Where flowers are damaged then berries might grow very small and seedless, this is called millerandage. Similarly berries might ripen unevenly within a bunch, green berries alongside healthy, ripe grapes.
There is nothing that the vigneron can do of course, the damage is done by the weather and no producer can successfully combat weather. Nature wins in the end. So, once again, the vendangeur and those sorting in the cellar are crucial in ensuring that only healthy fruit goes into the wine.
I cannot emphasise enough the importance of all stages of wine growing and production. From their budding through to vendanges the vines must be tended, and in the cellar observation, determination and care are needed too. To make good wine requires hard work, healthy grapes and love as Jeff has said many times.
And have a look at one of those last photos again.

In the top right corner you will see another of 2016’s natural problems, one subject of the final part of this series.
















































